80 AC + 27 Lots White Feather Development
| Status: | Active |
| County: | Will |
| Township: | Manhattan |
| Address: | Eastern Avenue & White Feather Drive Manhattan IL 60442 |
| Gross Land Area: | 80 Acres + 27 Platted Lots |
| Hectare Conversion | |
| Property Type: | Residential Development Land and Platted Single-Family Lots |
| Possible Uses: | Residential subdivision / builder lot inventory |
| Total Investment: | $2,250,000.00 |
| Monetary Conversion | |
| Unit Price: | Call Broker — mixed raw acreage and unfinished lots |
| Productivity Index (PI): | 125.0 |
| Buildings: | No Buildings Included |
| Utilities: | Municipal water, sanitary sewer, electric, natural gas, telecommunications — available at property |
| Zoning: | R-1 PUD (SF Planned Unit Development) East 40 Ag zoning. |
For more information contact:
Mark Goodwin
1-815-741-22261-815-741-2226 mgoodwin@bigfarms.com
Goodwin & Associates Real Estate, LLC
is an AGENT of the SELLERS.
property alerts
Be alerted to new listings, changes in current listings, and closings as a way to keep your finger on the pulse of the land market.
Property Overview
Three-Phase Residential Development in Manhattan, Illinois
BigFarms Real Estate is pleased to present this exceptional residential development opportunity in the growing Village of Manhattan, Will County, Illinois. This rare offering combines 80 acres of raw development ground directly adjacent to the established White Feather subdivision with 27 remaining platted single-family lots within the subdivision itself — a turnkey, phased development platform under a single R-1 PUD zoning framework and village utility service.
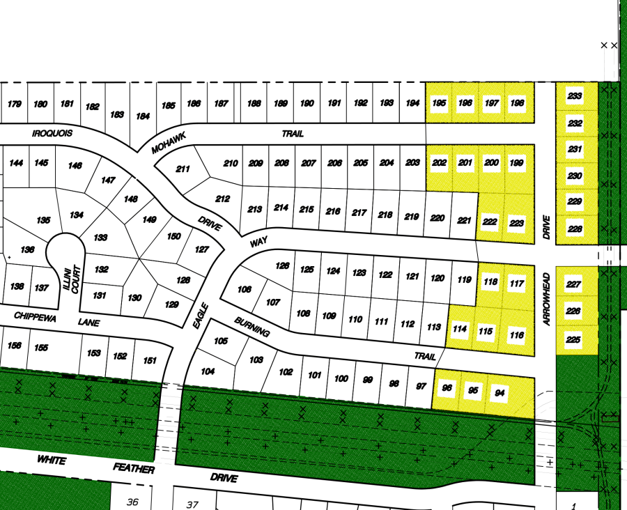
27 Remaining Platted Lots in White Feather Unit 1 (Phase 1)
The offering includes 27 remaining platted single-family lots within the completed White Feather Subdivision Unit 1. Utilities are stubbed to the site and ready to install along with the streets. The proven absorption of surrounding Unit 1 product provides strong comparable evidence for new construction pricing.
Phase 2: 40 Acres with an Approved 95-Lot Site Plan
The middle 40-acre parcel is raw ground with a site plan for 95 additional single-family lots (numbered 233-327), designed to seamlessly extend the Unit 1 street grid via Mohawk Trail and Arrowhead Drive. With the street layout, lot configuration, and stormwater approach already designed, a developer inherits substantial entitlement work and can advance directly to final engineering. This is a shovel-ready platform for Phase 2 development and the strongest mid-term value driver in the package.
Phase 3: 40 Acres of Raw Ground with Eastern Avenue Frontage
The eastern 40-acre parcel is open farm ground with approximately 1,300 feet of frontage directly on Eastern Avenue. Unplatted and unplanned, this parcel offers maximum flexibility for a patient buyer — additional single-family at similar density could yield roughly 95 more lots, or the site could support a different product type (duplex, townhome, estate-lot) to diversify the overall development. Direct Eastern Avenue access offers the option of a secondary subdivision entrance or a separately-branded project phase.
Land Characteristics and Development Advantages
The property benefits from exceptional physical characteristics for residential development. Weighted Productivity Index of 125 confirms prime Illinois farmland soils — predominantly Elliott silt loam and Ashkum silty clay loam — with excellent bearing capacity and drainage for construction. Topography is remarkably level: the entire property spans only 15 feet of elevation change, which minimizes grading costs and simplifies stormwater design. The property is 100 percent outside the FEMA 500-year floodplain (Panel 17197C0303G). A small 4-acre area of freshwater emergent wetland is identified on the Wetland Map and will be addressed in final site engineering, but the bulk of the property is upland and ready for development.
Location, Access, and Infrastructure
The 80-acre raw parcel sits on the immediate east edge of the established White Feather subdivision, bounded by W Baker Road to the north and Eastern Avenue to the east. US Route 52 is approximately a quarter mile west and provides direct access to I-80 approximately 5 miles north and the broader Chicago metropolitan transportation network. The Manhattan Metra Station on the SouthWest Service Line is approximately 2 miles south, offering commuter rail service to Chicago Union Station — a meaningful amenity for the target homebuyer demographic.
Students attend the Manhattan School District 114 (Anna McDonald, Wilson Creek, and Manhattan Junior High) and Lincoln-Way Community High School District 210 (Lincoln-Way West), both well-regarded districts that support strong residential absorption.
Investment Highlights
- 80 acres of raw development ground plus 27 remaining platted single-family lots
- Approximately 120+ total single-family lot potential (27 remaining platted lots plus 95 in the Phase 2 site plan)
- Phase 1 lots platted and entitled — pending installation of streets and underground infrastructure
- Phase 2 site plan proposed — shovel-ready pending final engineering
- Phase 3 provides long-term upside and programming flexibility
- R-1 PUD zoning under existing village framework
- Village water and sanitary sewer available, served from Unit 1 infrastructure
- Approximately 1,300 feet of Eastern Avenue frontage
- Weighted Productivity Index of 125 — prime Illinois farmland soils
- Remarkably level topography (15 ft elevation range)
- 100 percent outside FEMA 500-year floodplain
- Adjacent to completed, successful White Feather subdivision (proof of concept)
- Strong school districts and Metra commuter access drive buyer demand
- Self-funding acquisition potential — Phase 1 lot sales can offset carrying costs on Phases 2 and 3
Positioning
This property is ideally suited for a regional homebuilder seeking captive land inventory to support a multi-year construction program, a land developer looking to advance an entitled project to a vertical builder, or a patient capital investor positioning for long-term metro-area residential growth. The three-phase structure allows a buyer to underwrite Phase 1 as a near-term revenue source, Phase 2 as a mid-term value creation project, and Phase 3 as a land-bank position with appreciation upside.
For more information, site tours, or to discuss acquisition structure, please contact Mark Goodwin at Goodwin & Associates.
+ View Brochure
+ View Property Disclaimer and Disclosure.
![]() |
Property Notes
Area Resources and Additional Information
- Village of Manhattan, IL — Official Website
- Village of Manhattan — Economic Development
- Manhattan, IL Demographics — Census Reporter
- Will County, Illinois — Government Website
- Manhattan School District 114 (K-8)
- Lincoln-Way Community High School District 210
- Metra SouthWest Service — Manhattan Station
- Manhattan Park District (adjacent Round Barn Park)
Additional resources available upon request: preliminary site plans, annexation agreement (Will County Doc. R-2005-136558), Declaration of Covenants, recorded Unit 1 plat (Doc. R-2005-084520), FSA tract data, and updated boundary survey upon contract.
Property Map
Listing Details
General Information |
||
| Listing Name: | 80 AC + 27 Lots White Feather Development | |
| Tax ID Number/APN: | 14-12-08-300-012-0000 (Phase 1: 27 remaining platted lots) 14-12-08-200-002-0000 (Phase 2: 40 AC with 95-lot site plan) 14-12-08-200-003-0000 (Phase 3: 40 AC raw development ground) |
|
| Possible Uses: | Single-family residential development, attached single-family, townhome, senior/active adult community, mixed residential product, phased residential subdivision, builder lot inventory | |
| Zoning: | R-1 PUD, Village of Manhattan | |
Area & Location |
||
| School District: | Manhattan School District 114 (K-8): Anna McDonald School, Wilson Creek Elementary, Manhattan Junior High Lincoln-Way Community High School District 210 (9-12): Lincoln-Way West High School |
|
| Location Description: | This residential development opportunity is located in Manhattan, Illinois — a growing village in southwestern Will County approximately 50 miles southwest of Chicago. The property comprises 80 acres of raw development ground directly adjacent to the established White Feather subdivision, plus 27 platted single-family lots within the subdivision itself. The raw ground is bounded by W Baker Road to the north and Eastern Avenue to the east. Manhattan is served by Lincoln-Way schools, Metra commuter rail to Chicago, and a desirable small-town character that supports strong residential demand. | |
| Site Description: | The 80-acre development parcel is contiguous ground north of the existing White Feather Unit 1 subdivision, extending from the Unit 1 street grid east to Eastern Avenue. Phase 2 (the western 40 acres) has a 95-lot site plan (lots 233-327) ready for final engineering. Phase 3 (the eastern 40 acres) is raw farm ground fronting Eastern Avenue for approximately 1,300 feet. Separately, the offering includes 27 remaining platted single-family lots in the adjacent White Feather Unit 1 subdivision — lot inventory supported by the village's existing infrastructure. Topography across the 80-acre parcel is remarkably level — elevation ranges only approximately 15 feet across the property — making it exceptionally well-suited for residential development with minimal grading. | |
| Side of Street: | East of the established White Feather subdivision; west of Eastern Avenue; north of the Unit 1 built-out homes | |
| Highway Access: | US Route 52 is approximately a quarter mile west of the property and provides direct access to I-80 approximately 5 miles north. Route 45 is approximately 6 miles east. Interstate 57 is approximately 8 miles southeast via Route 52 and Manhattan-Monee Road. Chicago Loop is approximately 40 miles north. | |
| Road Type: | Eastern Avenue (east boundary of Phase 3): paved township/county road. W Baker Road (north boundary): paved county road. US Route 52 (nearby, approximately a quarter mile west): major state highway. Internal Unit 1 streets serving the 27 platted lots: paved village streets with curb and gutter. | |
| Legal Description: | The raw 80-acre parcel: S 1/2 of the NE 1/4 of Section 8, Township 34 North, Range 11 East of the Third Principal Meridian, Manhattan Township, Will County, Illinois. The 27 platted lots: individual recorded lots within White Feather Subdivision Unit 1, being a subdivision of part of the Southwest Quarter of Section 8 (recorded plat: Will County Doc. R-2005-084520). Related recorded instruments include the Annexation Agreement (Doc. R-2005-136558) and the Declaration of Covenants for White Feather Unit 1. |
|
| Property Visibility: | The 80-acre raw parcel benefits from approximately 1,300 feet of frontage directly on Eastern Avenue (Phase 3), with continuous connection to the established White Feather Unit 1 street grid at the Phase 2 west edge. The 27 platted lots sit within the visible, active, and partially built-out Unit 1 subdivision with mature landscaping and occupied neighbors. | |
| Largest Nearby Street: | Eastern Avenue (east boundary of the 80 AC parcel) and US Route 52 (approximately a quarter mile to the west) | |
| Transportation: | The Manhattan Metra Station (SouthWest Service Line to Chicago Union Station) is approximately 2 miles south of the property, providing direct rail access to downtown Chicago. Joliet Regional Airport is approximately 12 miles northwest for general aviation. Chicago Midway Airport is approximately 30 miles north; Chicago O'Hare International is approximately 50 miles north. I-80 is approximately 5 miles north; I-57 is approximately 8 miles southeast. | |
Land Related |
||
| Lot Frontage (Feet): | Approximately 1,300 feet on Eastern Avenue (east edge of Phase 3). Additional frontage on internal Unit 1 streets for the 27 Phase 1 lots. | |
| Tillable Acres: | Approximately 91.9 acres of tillable farmland currently mapped in production across all three parcels per Surety Maps Agridata — comprising the 80-acre raw parcel plus the open ground portion of Phase 1. The 27 platted lots are already subdivided for residential use and are not tillable. | |
| Lot Depth: | 80-acre parcel: approximately 1,320 feet north-to-south by approximately 2,600 feet east-to-west. The 27 platted lots: standard single-family residential lot dimensions, platted within the recorded White Feather Unit 1 subdivision plat. | |
| Buildings: | No Buildings Included — vacant development ground and unimproved platted lots | |
| Zoning Description: | R-1 Single-Family Residential Planned Unit Development under the Village of Manhattan's zoning ordinance, originally approved per the Annexation Agreement dated September 21, 2004 (Will County Doc. R-2005-136558). The 27 platted lots are governed by the White Feather Subdivision Unit 1 plat (Doc. R-2005-084520) and the Declaration of Covenants for Unit 1. | |
| Flood Plain or Wetlands: | Entire property is 100% Zone X per FEMA Panel 17197C0303G (effective 2/15/2019) — Area of Minimal Flood Hazard, outside the 500-year floodplain. National Wetlands Inventory identifies approximately 4.00 acres of PEM1C Freshwater Emergent Wetland within the property boundaries; these areas are delineated on the accompanying Wetland Map and will be addressed in final site engineering. Balance of the property is upland and suitable for development without wetland mitigation. | |
| Topography: | Remarkably level. Elevation across the property ranges only 15.3 feet, from 699.1 to 714.4 feet, with a standard deviation of just 2.53 feet (per USGS 3-meter DEM data). Average elevation 703.7 feet. This exceptional flatness is a significant advantage for residential development — it minimizes grading costs, simplifies stormwater design, and allows maximum buildable lot yield. See accompanying Topo Map, Topo Contours Map, and Topo Hillshade Map. | |
| Soil Type: | Predominantly Elliott silt loam (65.5%, 60.17 acres — 2 to 4 percent slopes) and Ashkum silty clay loam (27.0%, 24.84 acres — 0 to 2 percent slopes). Minor occurrences include Harpster silty clay loam (4.4%), Peotone silty clay loam (1.6%), and Varna silt loam (1.5%). All soils are well-drained prime farmland with excellent bearing capacity for residential construction. Soils data provided by USDA and NRCS; see accompanying Soil Map. | |
| Soil Fertility: | Weighted Productivity Index: 125 (Illinois State Productivity Index based on Bulletin 811 optimum management ratings, adjusted for slope, erosion, and surface texture per the Illinois Soils EFOTG). All five soil types on the property are rated prime or prime-if-drained farmland. The consistently high PI reflects the strong agricultural productivity of the site — an indicator that also translates to excellent load-bearing capacity and drainage characteristics favorable for residential construction. | |
| Available Utilities: | Sanitary sewer: Village of Manhattan municipal system, served from the existing Unit 1 infrastructure. [CONFIRM: Stub-out locations at the Phase 2 connection point.] Water: Village of Manhattan municipal water, served from existing Unit 1 mains. Storm: Stormwater management designed into the existing Unit 1 detention system; additional detention contemplated for Phase 2 per approved site plan. Electric: ComEd service available through existing Unit 1 infrastructure. Natural Gas: Nicor Gas, available at existing Unit 1 infrastructure. Telecommunications: Fiber and broadband internet available through the village. Village utilities are stubbed to the area serving the 27 platted lots from the existing Unit 1 infrastructure; final street construction and underground utility installation within the 27-lot section are still required before vertical construction can begin. |
|
Financials |
||
| Finance Data Year: | 2024 Tax Year, Payable 2025 | |
| Real Estate Taxes: | Total 2024 real estate taxes: $5,825.76 (payable 2025), broken down by parcel: PIN 14-12-08-300-012-0000 (Phase 1 — 27 remaining platted lots): $1,914.64. PIN 14-12-08-200-002-0000 (Phase 2 — 40 AC with approved 95-lot site plan): $2,069.02. PIN 14-12-08-200-003-0000 (Phase 3 — 40 AC raw development ground): $1,842.10. All three parcels are currently assessed as undeveloped land, which keeps annual carrying costs exceptionally low. Assessments will change as development occurs — the raw Phase 2 and Phase 3 acreage will reassess upon platting, improvement, or reclassification from agricultural use, and the 27 platted Phase 1 lots will reassess at residential lot-level values when they receive permits or improvements. Prospective buyers should factor future reassessment into pro forma projections. | |
| Investment Amount: | Asking price is $2,250,000 for the complete package of approximately 80 acres of raw development ground plus 27 remaining platted single-family lots in the adjacent White Feather subdivision. Total future unit potential approximately 120+ single-family lots with additional capacity on the 40-acre Phase 3 parcel pending final programming. | |
Location |
||
| Address: | Eastern Avenue & White Feather Drive, Manhattan, IL 60442 | |
| County: | Will County, Illinois | |
| MSA: | Chicago-Naperville-Elgin, IL-IN-WI Metropolitan Statistical Area | |
MARK GOODWIN PROFESSIONAL BIOGRAPHY
It is difficult to find a real estate professional that specializes in Illinois Land Brokerage. Our services area includes Kendall County, Grundy County, Kane County, LaSalle County, Kankakee County, Livingston County, Ford County,Bureau, Henry County, Kane County, Dekalb County, Lake County, Iroquois County, Vermilion County, Kankakee County, and Cook County. Illinois Land Brokerage is a very specialized segment of the real estate brokerage industry. Knowledgeable Land Brokers are difficult to find. Many agents can sell a farm, but how many have the experience and qualifications of Goodwin and Associates?
Mark Goodwin is a Illinois Land Broker who can advise you about your land asset. It takes an experienced Illinois Land Broker to understand how best to market your land asset or find the property that best fits the investors needs or desires. Goodwin and Associates is the Land Broker for you in Illinois. We can help you with the marketing of your farm, residential development land, industrial land and commercial land or help with the selection of farmland, commercial land, retail land, industrial land, residential development land, residential lots, industrial lots and commercial lots. We are here to help you reach your goals.
Mark Goodwin - Illinois Land Broker
1-815-741-22261-815-741-2226 mgoodwin@bigfarms.com
Goodwin & Associates Real Estate, LLC
is an AGENT of the SELLERS.

